6 Fotos und Anhänge ansehen
Bohle Immobilien
Hohe Strasse 27, 45711 Datteln
Thorsten Bohle

IMG_5744

Bild 12.01.25 um 21.29

IMG_5745

IMG_5746

IMG_5747

IMG_5749

Baugrundstück in begehrter Lage nahe der Haard in Oer!!!

Eckdaten

  • Art Baugrund für Ein- / Zweifamilienhäuser
  • Lage 45739 Oer-Erkenschwick
  • Kaufpreis 155.000,00
  • Preis auf Anfrage nein
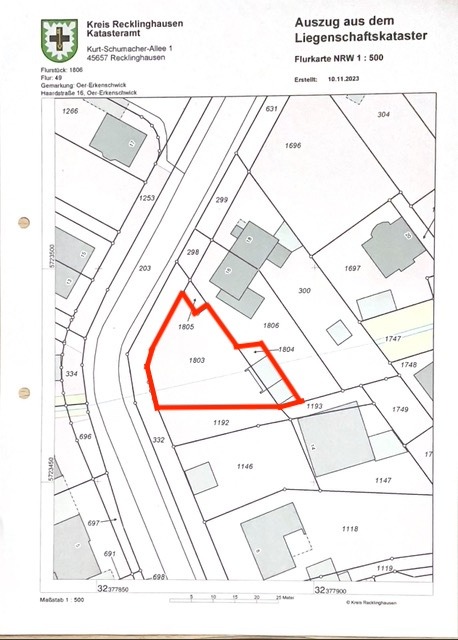
  • Grundstück ca. 569
  • Bezugstermin sofort
  • Bebaubar nach Nachbarbebauung
  • Fahrzeit Hauptbahnhof 10 min
  • Fahrzeit nächste Autobahnauffahrt 5 min
  • Immobilien-ID 5383
  • Provision 3,57 inkl. MwSt.

Immobilie

Das angebotene Baugrundstück mit ca. 569 qm befindet sich in einer sehr guten und bevorzugten Wohnlagen von Oer-Erkenschwick, nur wenige hundert Meter von der Haard entfernt. Die Umgebung zeichnet sich durch ihre ruhige und idyllische Atmosphäre aus und ist geprägt durch eine hochwertige und gepflegte Wohnbebauung.

Der Standort besticht durch seine exzellente Balance aus Naturnähe und Stadtnähe.

Highlights der Lage:

• Ruhig und dennoch zentral: Perfekt für Familien oder Paare, die ein ruhiges Wohnumfeld suchen, aber nicht auf die Nähe zur Stadt verzichten möchten.

Freizeitmöglichkeiten:

• Das Naherholungsgebiet Haard mit seinem kilometerlangen Wegenetz in der direkten Umgebung.

Infrastruktur:

• Sehr gute Verkehrsanbindung an die Innenstadt und den öffentlichen Nahverkehr und die Autobahn.


Bebauungsmöglichkeiten:

z.Zt. ist ein Bauvorhaben nach § 34 BauGB zu beurteilen.

Das Grundstück eignet sich hervorragend für den Bau eines freistehenden Einfamilienhauses.

Besonderheiten:
• Seltene Gelegenheit, ein Grundstück in dieser Lage zu erwerben.
• Hohe Nachfrage aufgrund der attraktiven Kombination aus Ruhe und zentraler Lage.
• Ideales Umfeld für langfristiges Wohnen in einer gehobenen Nachbarschaft.

Aktuell ist das Grundstück mit zwei Garagen mit Anbau bebaut. Die Gebäude können in die neue Planung einbezogen werden.

Haben wir Ihr Interesse geweckt? – Kontaktieren Sie uns gerne für weitere Informationen

Lage

Die Immobilie befindet sich in einem ruhigen und bevorzugtem Wohnviertel von Oer-Erkenschwick.
Die Nachbarschaft ist geprägt von gepflegten Einfamilienhäusern und Grünflächen, die zum Spazieren und Entspannen einladen.

Oer-Erkenschwick befindet sich im Ruhrgebiet, einer Region bekannt für ihre Industriegeschichte und Kulturvielfalt. Die Stadt bietet eine gute Infrastruktur mit zahlreichen Einkaufsmöglichkeiten, Restaurants und Freizeitangeboten. Durch die verkehrsgünstige Lage sind auch umliegende Städte wie Dortmund und Bochum schnell erreichbar.

Die Region um Oer-Erkenschwick besticht durch das vor der Tür gelegene Naherholungsgebiet " Die Haard", welche zu ausgiebigen Wanderungen und Fahrradtouren einladen. Auch kulturell hat die Gegend einiges zu bieten, mit Museen, Theatern und Veranstaltungen für Jung und Alt. Wer nach einer ruhigen und dennoch gut angebundenen Lage für ein Ein- oder Zweifamilienhaus sucht, ist hier genau richtig.

Erschließung

Sonstiges:

Aus rechtlichen Gründen weisen wir darauf hin, dass für die Exposéangaben keine Haftung oder Gewähr übernommen werden kann. Maßgeblich sind allein die zwischen Verkäufer und Käufer im notariellen Kaufvertrag getroffenen Vereinbarungen. Die Angaben im Exposé stellen keine Zusicherungen dar.
Die Exposéveröffentlichung erfolgt freibleibend.

GELDWÄSCHE: Als Immobilienmakler ist Bohle Immobilien, Thorsten Bohle, Hohe Straße 27 in 45711 Datteln nach § 2 Abs. 1 Nr. 14 und § 10 Abs. 3 Geldwäschegesetz (GwG) dazu verpflichtet, bei der Begründung einer Geschäftsbeziehung die Identität des Vertragspartners festzustellen und zu überprüfen. Hierzu ist es erforderlich, dass wir nach § 11 GwG die relevanten Daten Ihres Personalausweises festhalten (wenn Sie als natürliche Person handeln) beispielsweise mittels einer Kopie. Bei einer juristischen aus welchem der wirtschaftlich Berechtigte hervorgeht. Das Geldwäschegesetz sieht vor, dass der Immobilienmakler die Kopien bzw. Unterlagen fünf Jahre aufbewahren muss.

Wie können wir Ihnen behilflich sein?

Herzlichen Dank für Ihre Anfrage.

Wir werden diese so schnell wie möglich bearbeiten.

Wie können wir Ihnen behilflich sein?
* Pflichtfeld